5 locali in vendita

Casale Monferrato, Via Camillo Benso Cavour
€ 224.000
9 locali 9 locali
283 Mq 283 Mq
2 bagni 2 bagni

5 locali in vendita

Casale Monferrato, Via Camillo Benso Cavour

Descrizione annuncio

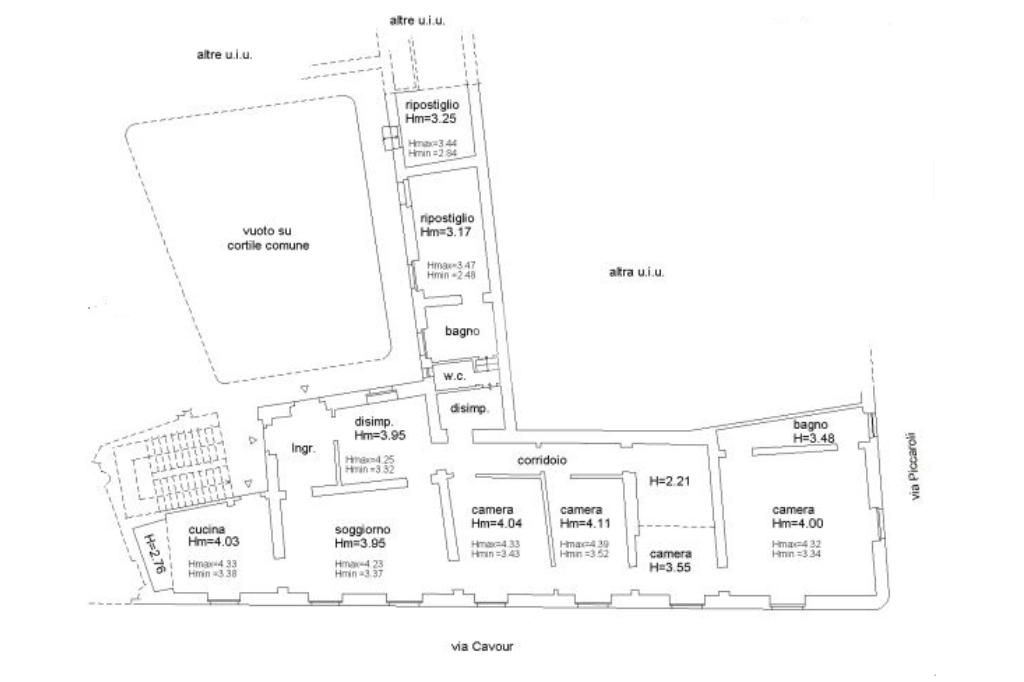
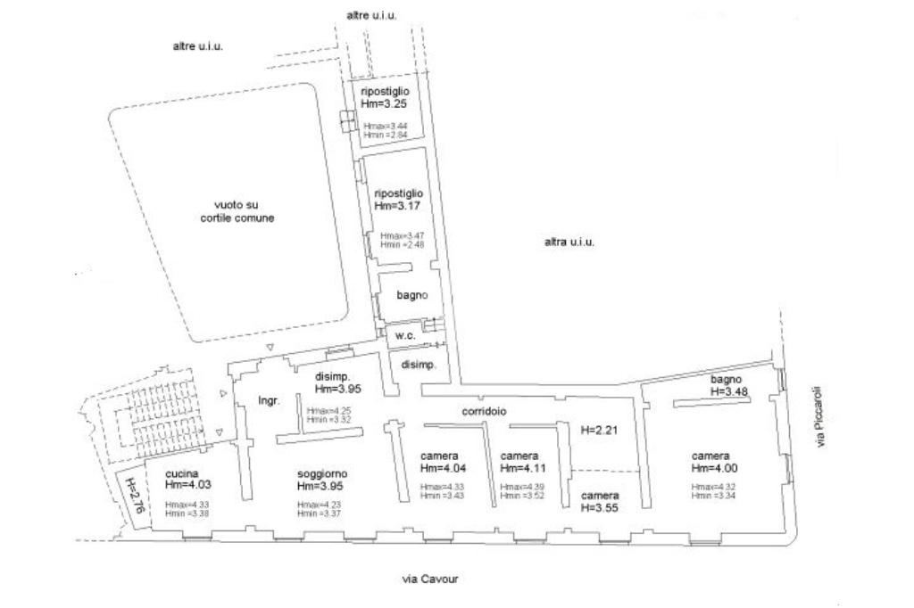
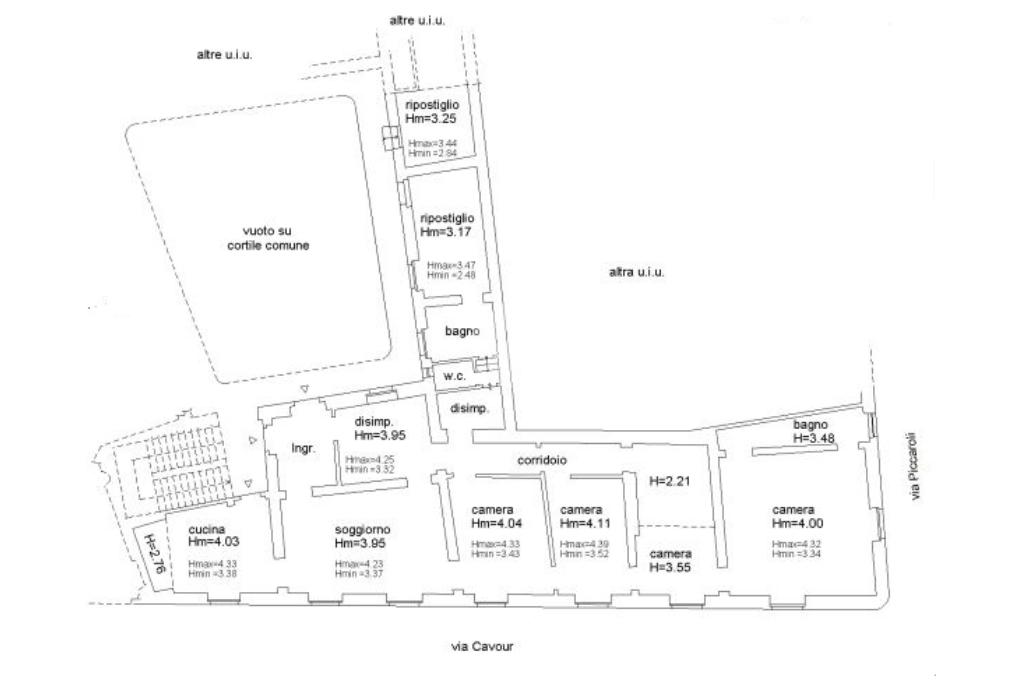
L’appartamento è posto al secondo piano all’interno di un palazzo nobiliare nel centro storico di Casale Monferrato, in fondo a via Cavour, in prossimità dell’ex chiesa di Santa Croce.

Raggiungibile grazie ad un ascensore esterno, l’immobile dispone di due accessi che ne ottimizzano la fruizione. Quello primario ci conduce ad un ampio disimpegno, dotato di una porta finestra con accesso al balcone che affaccia sull’interno del cortile. In questo ambiente si aprono due porte dove quella frontale da accesso ad un altro locale di disimpegno che permette di separare la zona giorno e la zona notte.

Sia dall’ultimo locale che dall’ingresso abbiamo due porte che conducono allo spazioso salone caratterizzato da una bella volta a botte con altezza di circa 4 metri, oltre che due ampie finestre che si aprono su via Cavour di fronte all’ex chiesa di Santa Croce. Da questo vano abbiamo accesso alla sala da pranzo con cucinino, sempre con affaccio su via Cavour, il cui ambiente ha un accesso diretto e indipendente sul pianerottolo condominiale.

L’ingresso alla zona notte conduce a sinistra alla stanza del bagno dotata di doccia, con tre aperture sul cortile interno del condominio. Dopo questo vano abbiamo altre due di diverse dimensioni, la prima utilizzata come lavanderia e la seconda come ripostiglio, al momento collegata all’appartamento dal balcone.

Tornando all’ingresso della zona notte, su un lungo corridoio si affacciano due camere da letto matrimoniali ed una di passaggio con affaccio su via Cavour. L’ultima stanza da letto è posta sull’angolo del palazzo e le finestre danno su Via Piccaroli e su Via Cavour, cui superficie è di circa 36 mq abbellita da una volta a pavaglione con un’altezza al vertice di 4 metri. Infine questo vano ha un bagno riservato dotato di finestra.

Gli impianti tecnologici sono da rivedere come anche gli infissi in quanto sono in legno con il vetro singolo. Il riscaldamento è centralizzato ma può essere scollegato dalla caldaia condominiale.

L’appartamento è servito da ascensore che porta direttamente al pianerottolo. E’ presente una cantina al piano seminterrato.

Infine all’interno del cortile condominiale troviamo l’unico garage dello stabile che viene venduto assieme all’appartamento.

Mostra tutto

Nelle vicinanze

Trasporto pubblico Trasporto pubblico
Casale Monferrato
Casale Monferrato
720 m
Casale Popolo
Casale Popolo
2,9 Km
Cavour
Cavour
190 m
Sobrero/San Francesco
Sobrero/San Francesco
190 m
Ricariche auto elettriche Ricariche auto elettriche
Casale Monferrato Vigliani | EnelX
190 m
Casale Monferrato Battisti | EnelX
400 m
CASALE MONFERRATO stazione | ENELX
620 m
Casale Monferrato Visconti | EnelX
640 m
Casale Monferrato Valentino | EnelX
1,1 Km
Scuole Scuole
Scuola Primaria Statale "San Paolo"
200 m
Scuole
210 m
I.S. "A. Sobrero"
580 m
I.T.I.S. "Ascanio Sobrero"
590 m
Istituto Professionale Alberghiero "Artusi"
880 m
Farmacia Farmacia
Farmacia Vicario
20 m
Parafarmacia San Francesco
80 m
Farmacia Freddi
190 m
Farmacia Bramante
240 m
Antica Farmacia del Duomo
260 m
Ospedali Ospedali
Clinica Sant'Anna
370 m
Ospedale "Santo Spirito"
1,7 Km
Supermercati Supermercati
Esselunga
480 m
Mercatò
760 m
Catering
800 m
Penny Market
1,4 Km
NiHao Bazar
1,4 Km
Negozi Negozi
Non Solo Intimo
100 m
City Conbipel
160 m
La Briciola
180 m
Panetteria Panem Nostrum
290 m
Equazione
340 m
Bar Bar
Le petit monde biò
210 m
Drop cafè
240 m
Bar Giardino
400 m
B.B. bar
530 m
L'Operetta
560 m
Ristoranti Ristoranti
Ristoranti
90 m
Pizzeria Capri
140 m
La brasserie
160 m
Santa Lucia
190 m
Pizzeria Marechiaro
190 m
Mostra tutto

Caratteristiche

Rif.:
61175191
Piano:
2 di 3 con ascensore (Piano medio)
Box:
1
Balconi:
1
Camere da letto:
3
Arredamento:
Assente
Mostra tutto
Prezzo Prezzo
€ 224.000
Rata mutuo Rata mutuo
€ 1.056 / mese
Spese annue Spese annue
€ 1.200
Proponi il tuo prezzoProponi il tuo prezzo

Classe Energetica

E
E
E
E
E
E
E
E
E
EP globale non rinnovabile:
186.26 kW h/m² anno
EP globale rinnovabile:
0.74 kW h/m² anno
EP invernale del fabbricato:
EP estiva del fabbricato:
Anno di costruzione:
1600
Riscaldamento:
Centralizzato
Tipo impianto:
A radiatori
Tipo alimentazione:
Metano

Ti interessa visionare l'immobile?

Fissa un appuntamento  Fissa un appuntamento

Richiedi informazioni

Clicca su Leggi per aprire l'informativa
* Questi campi sono obbligatori

Calcola il tuo mutuo

Semplice e senza impegno
Anticipo

( % )
Mutuo

( % )

pochi semplici passi

inserisci i tuoi dati
Questionario completato
Grazie per aver richiesto un appuntamento senza impegno con un nostro Consulente del Credito e Assicurativo.

Hai inserito correttamente tutti i dati necessari e a breve riceverai una e-mail con un link da convalidare per inviare i tuoi dati.
Affiliato
Studio Casale D.I.
Corso Manacorda, 63 15033 Casale Monferrato (AL)

Il nostro staff


  • Alberto Dionisotti
    Affiliato

  • Serena Biletta
    Coordinatrice

  • Santino Mammola
    Collaboratore

  • Simone Anselmo
    Collaboratore
Corso Manacorda, 63 15033 Casale Monferrato (AL)
Zona: Casale Monferrato e zone collinari
Mostra su mappa
Orari: LUN - VEN 09.00/12.30 - 14.30/18.30 SAB su appuntamento
Affiliato
Studio Casale D.I.
Corso Manacorda, 63 15033 Casale Monferrato (AL)

2026 Tecnocasa Franchising S.p.A. - P. IVA 08365160152 - Via Monte Bianco 60/A 20089 Rozzano (MI). Ogni agenzia ha un proprio titolare ed è autonoma. Privacy policy | Policy utilizzo | Cookie policy